
Join us in honouring the sacrifices and achievements of the local men and women who served in Canada’s military in times of war, military conflict and peace and those who have died since returning home from Active Service at one of the many Remembrance Day services across Clarington.
To help us honour those who served, road closures will be in effect during services in Bowmanville and Newcastle.
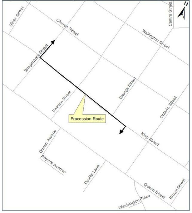
The following roads will be closed from 9:30 a.m. to 12:30 p.m. in Bowmanville as we mark Remembrance Day at Veterans’ Square:

In Newcastle, King Avenue between Baldwin Street and Mill Street will be closed from 9:30 a.m. to 12:30 p.m. as we mark Remembrance Day at the Newcastle Cenotaph outside Newcastle Village Community Hall.

Thank you for your patience and understanding.
Contact Us